immobilimpresa

Capannone in Vendita Dogliani

390.000 calcola mutuo

Mq. Non specificati

3 locali

Clicca sull'immagine per ingrandirla

Dogliani

- Dogliani (CN) viale professor gabetti
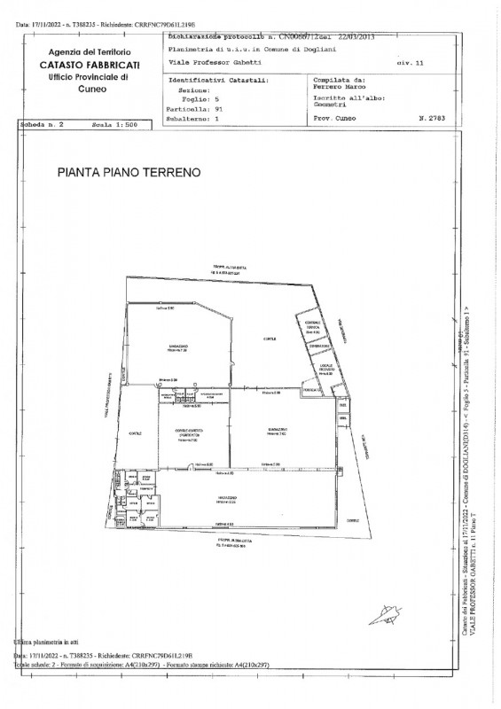
Immobilimpresa 10450658Riferimento Agenzia CAP1248 – Capannone in buone condizioni disponibile da subito, con uffici in vendita nel cuore di Dogliani. Questa struttura ampia e funzionale offre ampi spazi per attività artigianali, deposito o lavor... Vedi di più
Prezzo: € 390.000   Fai una controproposta

Hai un immobile simile da vendere? Vendine uno uguale

La responsabilità del contenuto dell'annuncio fa capo all'inserzionista, non forniamo garanzie per le informazioni pubblicate da terzi

Contatta per l'annuncio

Ricevi più proposte: le caratteristiche dell'immobile che stai cercando ed i tuoi recapiti, verranno inviati alle agenzie immobiliari della zona di tuo interesse

Registrandoti a questo servizio dichiari di aver letto e di accettare l'Informativa alla Privacy

* I campi con l'asterisco sono obbligatori

CONSULENZA Prestiti
Personali e MUTUO